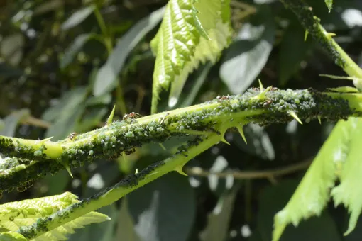
Тля — один из самых распространённых вредителей на дачных участках. Вывести её довольно сложно — особенно если пропустить важный этап. Агроном Людмила Шубина рассказала, почему сентябрь — самое подходящее время для борьбы с тлёй и назвала действенный способ её уничтожения.
Самое время: как уничтожить тлю на участке осенью

Эксперт пояснила, что тля наиболее уязвима в первый осенний месяц: в этот период у насекомых начинается лёт — они спариваются, и самки откладывают яйца на ветвях деревьев и кустарников. Поэтому именно в сентябре можно почти полностью избавиться от вредителей в саду.

О том, что начался лёт тли, можно узнать по небольшим «облакам» над деревьями. Обычно активный период размножения насекомых приходится на 15-25 сентября — и это самое время приступить к борьбе с ними.
Шубина назвала эффективный и при этом экологичный способ справиться с тлёй. Для него нужен нетканый материал, которым обычно укрываются грядки, и молочная сыворотка. Последнюю можно заменить квасом или пивом.

Ткань нужно смочить в сыворотке и вывесить возле деревьев и кустов. Самки насекомых летят на запах этого продукта и облепляют ткань. Всё, что требуется от вас — сполоснуть облепленный тлёй кусок в сыворотке или квасе и снова повесить.
По словам агронома, этот лайфхак помогает уничтожить большую часть тли на участке — её популяцию можно сократить на 70-80 процентов. Поэтому важно предпринять шаги именно осенью, отметила Шубина в разговоре с агентством новостей Gorsite.
Весной на ветвях деревьев и кустов вылупятся новые особи, которые начнут высасывать соки из посадок. Бороться с ними в начале сезона, значительно сложнее, потому что тле будут помогать муравьи.

Ранее мы рассказывали, какие вредители продолжают атаковать огород даже осенью. Важно продолжить обработку сада в этот период, поскольку они способны уничтожить не только поспевающий урожай, но и навредить грядущим посадкам.
Почитайте, какие насекомые могут навредить капусте. Если вы заметили пожелтение листьев, нужно проверить, не едят ли её распространённые вредители и обработать кочаны.
